إعصار ميليسا لم أعرف إذا كانت عائلتي على قيد الحياة لمدة

0
110
إعصار ميليسا لم أعرف إذا كانت عائلتي على قيد الحياة لمدة
إعصار ميليسا لم أعرف إذا كانت عائلتي على قيد الحياة لمدة

لم أعرف إذا كانت عائلتي على قيد الحياة لمدة أربعة أيام

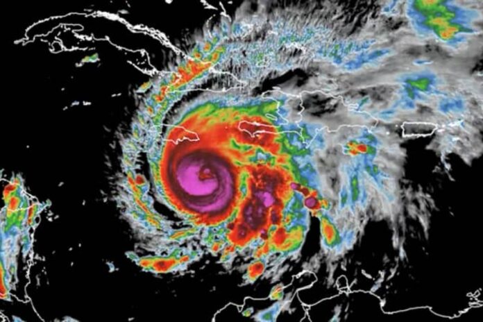
تأثرت العديد من العائلات في جامايكا بشكل كبير جراء إعصار ميليسا الذي اجتاح الجزيرة في 28 أكتوبر. من بين هذه العائلات، كانت عائلة تروي ويليامسون التي عانت من حالة من القلق وعدم اليقين لمدة أربعة أيام كاملة. في هذا المقال، سنستعرض تأثير الإعصار على العائلة، جهود الإغاثة، تجربة ويليامسون، الوضع الحالي في جامايكا، وأهمية الدعم المجتمعي في الأوقات الصعبة.

إعصار ميليسا

تأثير الإعصار على العائلة

عانت عائلة ويليامسون من حالة من القلق الشديد خلال فترة الإعصار. حيث كان تروي ويليامسون يحاول التواصل مع والده وأفراد أسرته في جامايكا، لكنه لم يتمكن من الحصول على أي معلومات لمدة أربعة أيام. يقول ويليامسون: “عندما لم يتمكن أحد من التواصل، لم يكن لدينا أي فكرة عما حدث. أسوأ ما يمكن أن يحدث هو أنهم لم يعودوا هنا”. هذه الكلمات تعكس الشعور العميق بالقلق الذي عاشته العائلة في تلك اللحظات العصيبة.

جهود الإغاثة — تروي ويليامسون

بعد الإعصار، بدأت جهود الإغاثة تتزايد بشكل كبير. قدم المجتمع المحلي والمنظمات الإنسانية الدعم اللازم للمتضررين. تم جمع التبرعات والمساعدات من مختلف الجهات، حيث تم تقديم ما يصل إلى 6.7 مليار دولار لدعم تعافي جامايكا. كما أطلق ويليامسون نفسه حملة لجمع التبرعات، حيث تلقى تبرعات تشمل 1000 جنيه إسترليني من مزاد قفاز موقع. هذه الجهود تعكس روح التضامن والتعاون بين أفراد المجتمع في الأوقات الصعبة.

دور المنظمات الإنسانية في تقديم الدعم — جامايكا

تعتبر المنظمات الإنسانية جزءًا أساسيًا من جهود الإغاثة. حيث قامت بتوزيع المواد الغذائية والملابس والسكن المؤقت للمتضررين. كما ساهمت في توفير الدعم النفسي والاجتماعي للأسر التي فقدت منازلها وأعمالها. إن هذه الجهود تعكس أهمية العمل الجماعي في مواجهة الكوارث الطبيعية.

تجربة ويليامسون — إعصار

تروي تجربة تروي ويليامسون خلال الإعصار الكثير عن التحديات التي واجهها. بعد أربعة أيام من الانتظار، تلقى رسالة من والده عبر فيسبوك ماسنجر، مما أعطاه شعورًا بالراحة. لكن سرعان ما تبين أن الإعصار قد دمر منزلهم والبار الرياضي الذي تديره العائلة. يقول ويليامسون: “لقد دمروا منزلهم وأعمالهم. في الوقت الحالي ليس لديهم مكان للعيش. يحاولون الإصلاح وإعادة البناء”.

كيف أثر الإعصار على حياته الشخصية

بالإضافة إلى الأضرار المادية، كان للإعصار تأثير نفسي كبير على ويليامسون. فقد كان عليه أن يتعامل مع مشاعر القلق والخوف على عائلته، بينما كان يستعد لمواجهة تحديات جديدة في مسيرته الرياضية. إن هذه التجربة تعكس كيف يمكن أن تؤثر الكوارث الطبيعية على حياة الأفراد بشكل عميق.

إعصار ميليسا لم أعرف إذا كانت عائلتي على قيد الحياة لمدة - إعصار ميليسا
إعصار ميليسا لم أعرف إذا كانت عائلتي على قيد الحياة لمدة – إعصار ميليسا

الوضع الحالي في جامايكا

بعد مرور فترة على الإعصار، لا يزال الوضع في جامايكا يتطلب الكثير من الجهود لإعادة البناء. تم تقييم الأضرار الناتجة عن الإعصار، حيث تأثر حوالي 1.5 مليون شخص، مما يجعل إعادة الإعمار مهمة ضخمة. تسعى الحكومة والجهات المانحة إلى تقديم الدعم اللازم لإعادة بناء المناطق المتضررة.

الجهود المبذولة لإعادة بناء المناطق المتضررة

تتضمن جهود إعادة البناء توفير المساعدات المالية والفنية للمناطق المتضررة. كما يتم العمل على تحسين البنية التحتية لضمان عدم تكرار مثل هذه الكوارث في المستقبل. إن هذه الجهود تعكس التزام المجتمع الدولي بمساعدة الدول المتضررة من الكوارث الطبيعية.

أهمية الدعم المجتمعي

في الأوقات الصعبة، يظهر دور المجتمع بشكل واضح. كيف يمكن للمجتمع أن يتكاتف في الأوقات الصعبة؟ إن الدعم المتبادل بين الأفراد يعزز من قدرة المجتمع على مواجهة التحديات. قصص نجاح من مجتمعات أخرى تأثرت بكوارث طبيعية تظهر كيف يمكن للتعاون والتضامن أن يساهم في التعافي.

إعصار ميليسا لم أعرف إذا كانت عائلتي على قيد الحياة لمدة - إعصار ميليسا
إعصار ميليسا لم أعرف إذا كانت عائلتي على قيد الحياة لمدة – إعصار ميليسا

قصص نجاح من مجتمعات أخرى تأثرت بكوارث طبيعية

هناك العديد من الأمثلة على مجتمعات تمكنت من التعافي بعد كوارث طبيعية بفضل الدعم المجتمعي. هذه القصص تلهم الآخرين وتظهر كيف يمكن للأفراد أن يكونوا جزءًا من الحل. إن العمل الجماعي يمكن أن يحدث فرقًا كبيرًا في حياة الناس.

في الختام، تعكس تجربة عائلة ويليامسون مدى تأثير الكوارث الطبيعية على حياة الأفراد والمجتمعات. إن جهود الإغاثة والدعم المجتمعي تلعب دورًا حيويًا في التعافي من هذه الكوارث. يجب أن نتذكر دائمًا أهمية التضامن والتعاون في مواجهة التحديات.

المصدر: لم أعرف إذا كانت عائلتي على قيد الحياة لمدة أربعة أيام رابط المصدر

المزيد في أخبار الشرق الأوسطتروي ويليامسونجامايكاإعصارالبار الرياضيالتبرعات